11260 Seacrest Road Richmond, British Columbia V7A 3L6
$2,398,000
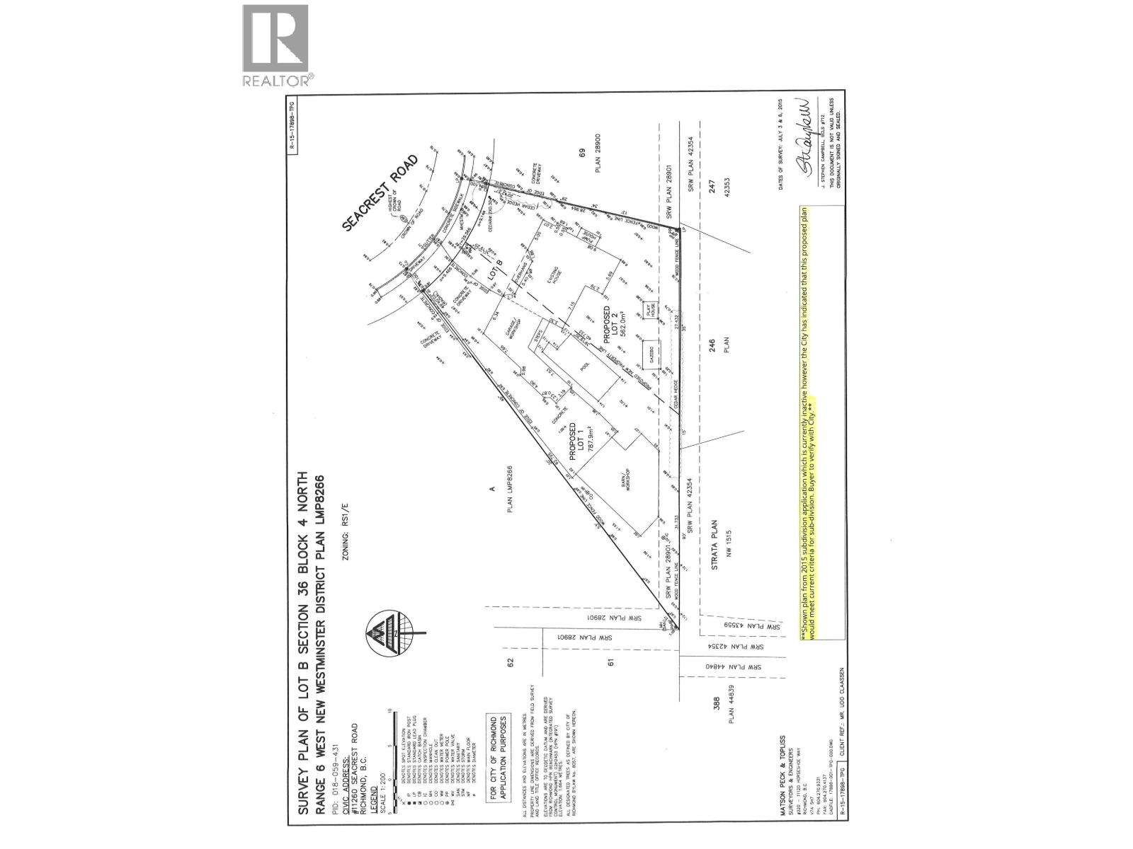
HUGE HOUSE, HUGE LOT, HUGE POTENTIAL! With a 14,500+ sf SUB-DIVIDABLE lot (1/3 acre), this 4600+ sf house has been lovingly maintained by original owners! Main floor (2690 sf) has kitchen w/large island, sub-zero fridge & pro-style range, large living room & massive family room, 3 great sized bedrooms (primary w/personal ensuite), walk in closet or office. Basement has separate entry, bedroom, den, living room, full bathroom - ideal 1 or 2 bedroom suite w/small adjustments. There is also a 2 level side suite - living area, 3rd kitchen, bathroom, bedroom, separate entry! BONUSES: double garage + 1625 sq DETACHED POWERED WORKSHOP W/MEZZANINE, huge driveway, RV parking, AIR CONDITIONING. Future potential: RSM/L zoning allows for 4 dwellings per subdivided lot - total 8 units! Verify w/City. (id:22222)
Property Details
| MLS® Number | R3066971 |
| Property Type | Single Family |
| Amenities Near By | Recreation, Shopping |
| Features | Central Location |
| Parking Space Total | 12 |
| Storage Type | Storage Shed |
| Structure | Workshop |
Building
| Bathroom Total | 5 |
| Bedrooms Total | 4 |
| Appliances | All |
| Architectural Style | Basement Entry |
| Basement Development | Finished |
| Basement Features | Unknown |
| Basement Type | Full (finished) |
| Constructed Date | 1967 |
| Construction Style Attachment | Detached |
| Cooling Type | Air Conditioned |
| Fireplace Present | Yes |
| Fireplace Total | 1 |
| Heating Fuel | Natural Gas |
| Heating Type | Forced Air |
| Size Interior | 4,630 Ft2 |
| Type | House |
Parking
| Detached Garage | |
| Garage | 2 |
| R V |
Land
| Acreage | No |
| Land Amenities | Recreation, Shopping |
| Landscape Features | Garden Area |
| Size Irregular | 14527 |
| Size Total | 14527 Sqft |
| Size Total Text | 14527 Sqft |
https://www.realtor.ca/real-estate/29097633/11260-seacrest-road-richmond
Contact Us
Contact us for more information
Matt Bastien
Personal Real Estate Corporation, The Bastien Group
#400-2963 Glen Drive
Coquitlam, British Columbia V3B 2P7
Nicole Hunt
The Bastien Group
#550 - 20395 Lougheed Highway
Maple Ridge, British Columbia V2X 2P9








































